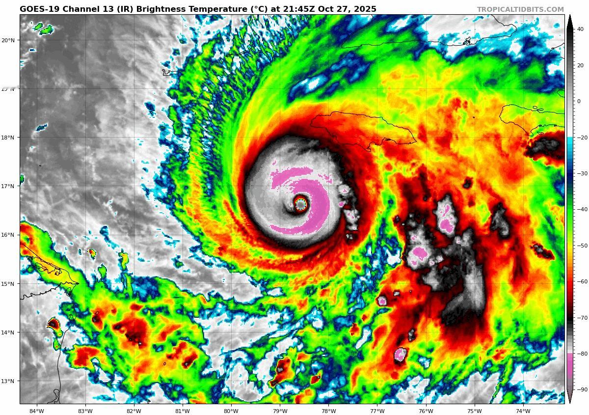
【五级飓风梅丽莎】留存一个五级飓风梅丽莎的云图动画。图1正好是当地日落前后,可见

形欣 2025-10-28 15:16:12

【五级飓风梅丽莎】留存一个五级飓风梅丽莎的云图动画。图1正好是当地日落前后,可见光云图转为红外云图。图2为红外云图。图中粉色部分,表示云顶亮温低于零下80℃。亮温比实际物体的温度会低一些。

通常温度不同,物体发射出来的电磁波的波长不同。由此可以反推物体的温度。亮温的物理意义是,假定发光体为黑体,需要在什么样的温度下,才能发出与实际发光体相同的亮度。所以叫亮度温度,也就是亮温。

黑体是物理上假想的一个理想物体(类似力学里光滑无摩擦的小木块),能在任何温度下全部吸收外来电磁辐射而毫无反射透射的物体。被光照射时,是全黑色。相比其他物体,在同等温度时,黑体具有最大辐射能力。

而黑体发出的电磁辐射,可以用普朗克定律表示。以上内容偏理论,可能不太容易明白。从现实应用来说,看图2,就是云顶亮温越低,灰色、粉色区域越多,说明飓风/台风的对流高度越高,强度越强。

0 阅读:8
形欣

形欣

感谢大家的关注