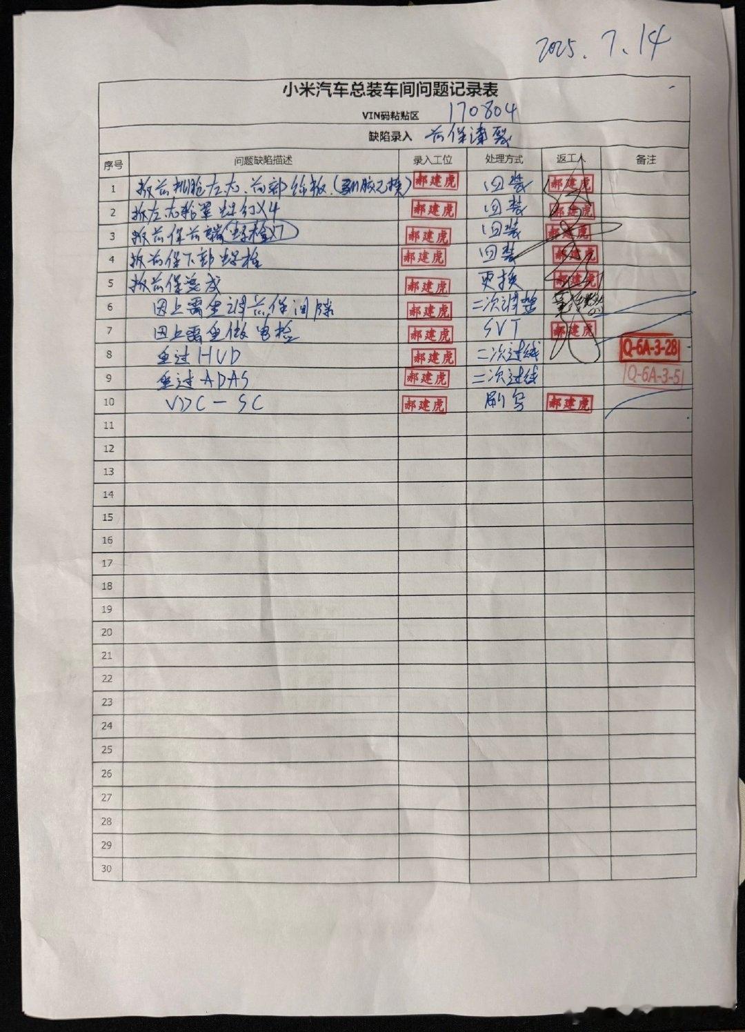
陈震:如果是真的,等等看官方说法和解决方案呗,我没啥看法~[思考] 一位小米车主购买到了带有维修工单的小米汽车,他在网上发文求助网络大v陈震,陈震看到了顺手转发了一下。 如果该车主说的是真的,那就比较有意思的,不知道能不能享受退一赔三的。因为该维修单的记录,是在车辆合格证之后出现的。 大家认为这件事是真的还是假的?欢迎评论区留言。








陈震:如果是真的,等等看官方说法和解决方案呗,我没啥看法~[思考] 一位小米车主购买到了带有维修工单的小米汽车,他在网上发文求助网络大v陈震,陈震看到了顺手转发了一下。 如果该车主说的是真的,那就比较有意思的,不知道能不能享受退一赔三的。因为该维修单的记录,是在车辆合格证之后出现的。 大家认为这件事是真的还是假的?欢迎评论区留言。








评论列表
猜你喜欢
【4评论】【11点赞】
【119评论】【15点赞】
【1评论】【1点赞】
【6评论】【1点赞】
作者最新文章
热门分类
汽车TOP
汽车最新文章
凌一凡
没有什么是专业耍猴的干不出来的