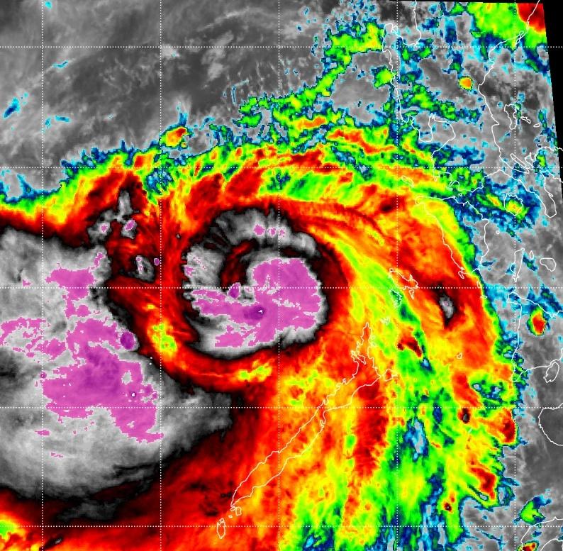
台风海鸥高层风眼显现,将冲击超强台风级 目前位于南海东南部海面的台风海鸥,开始爆

自然预警瞭望 2025-11-06 12:01:49

台风海鸥高层风眼显现,将冲击超强台风级 目前位于南海东南部海面的台风海鸥,开始爆发增强,高层风眼构筑加快。将迎接高强度冲击超强台风级16级52~55米每秒。趋向越南 天气 台风

0 阅读:1
自然预警瞭望

自然预警瞭望

感谢大家的关注